

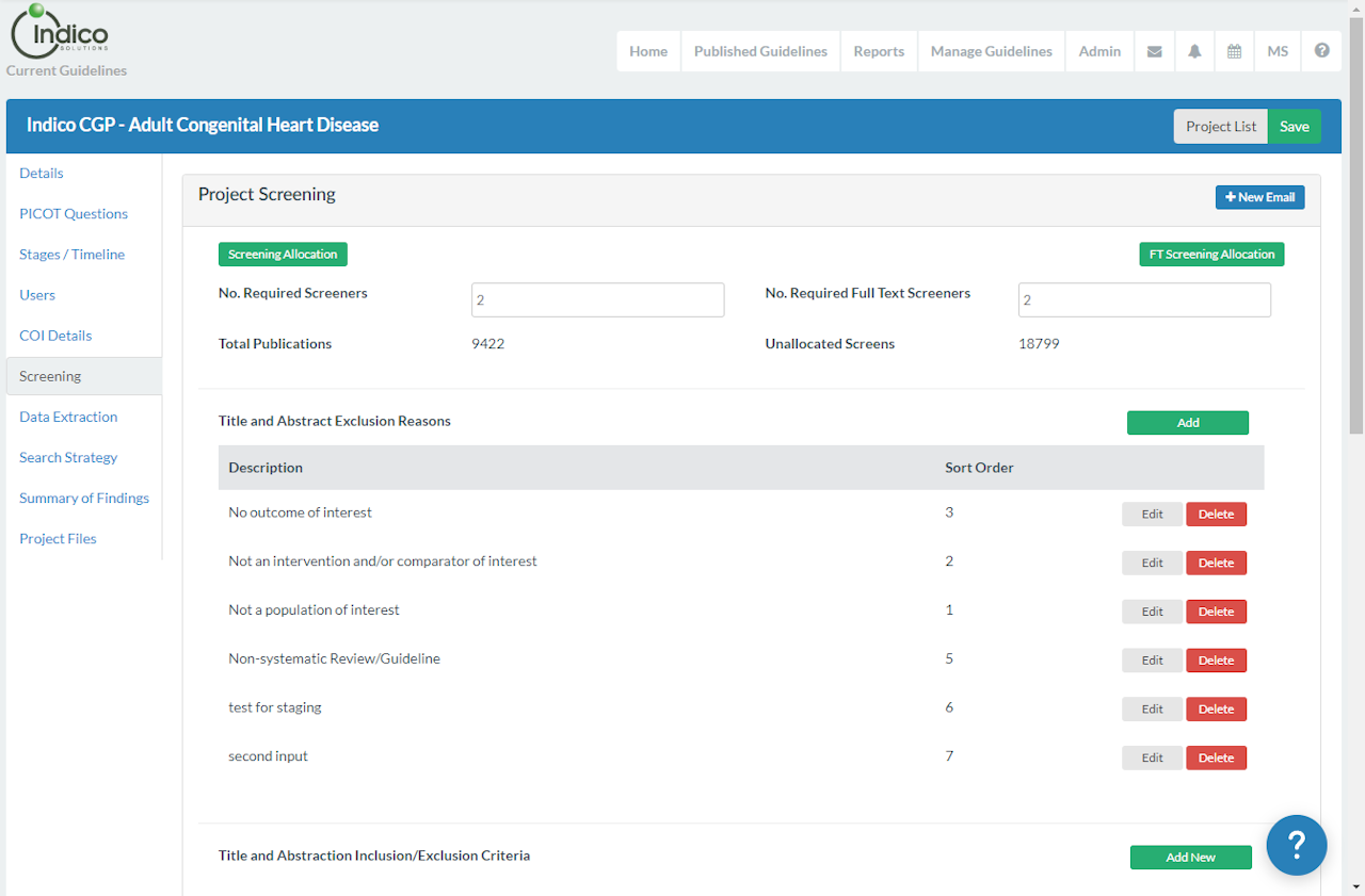
Title and Abstract Screening Set Up
Typical systematic review methodology requires that all potentially relevant publications returned from database searches be screened for relevance. This can be done by either one or multiple reviewers, depending on the methodology chosen.
The Indico CGP can manage screening by one or more reviewers. Prior to the commencement of screening Project Managers need to create relevant Title and Abstract Inclusion / Exclusion criteria and screen "Exclusion Reasons".
Go to the Project Management Page and select the relevant Project.
Once this page is loaded select the Screening Tab on the left side of the page.
