

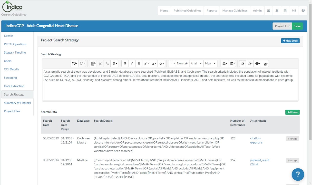
Search Strategy Tab
On the search strategy tab users can add details of the search strategy that was implemented and save external database search strings and results. This is useful of the project is a systematic review.
Use the text editor to input the search strategy used as part of the development of the evidence tables.
For the various external databases such as MEDLINE and EMBASE, you can create search data by clicking on Add New. In the modal that appears you can add the following information for each search undertaken.
- Search date (the date you performed the search
- Search dates – the from and to date values if your search was filtered according to publication date
- The database or index searched
- The search details – the search string used in the final search
- Number of references returned
Once this record is created and saved – you can add file attachments to the search data. This can include the exported file with the search results which you exported from the database/index and/or the search string.

